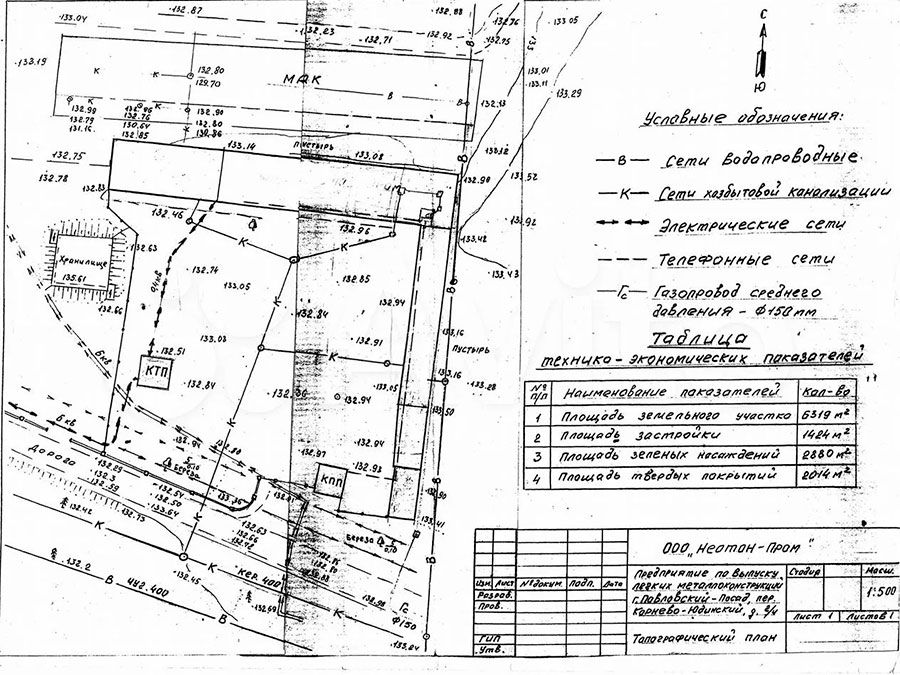
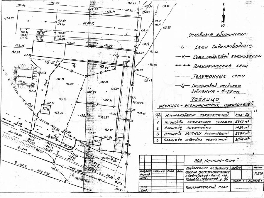
- Площадь производственного здания: 2160кв.м
- Участок земли: 5900кв.м
- Мощность электросети: 250 кВт
- Отопление: автономное
- Приточная вентиляция
- Местное кондиционирование
- Парковка: на улице, бесплатная, подходит для грузового транспорта
- Помещение для производства, склада и.т.п. Сейчас работает столярный цех, участок металлообработки.
Адрес: Московская область, Павловский Посад, Корнево-Юдинский пер., 2/4
Цена: 47 000 000 ₽ за всё
Контакты:sales@megaflag.ru
Адрес: Московская область, Павловский Посад, Корнево-Юдинский пер., 2/4
Цена: 47 000 000 ₽ за всё
Контакты:sales@megaflag.ru